Инжeнерные изыскания
Питомник декоративных растений
Благоустройство и озеленение
Пректирование инженерных коммуникаций
Организация дорожного движения
Проектирование дорог
Проектирование мостов и путепроводов
Подождите, идет загрузка изображения...
Подождите, идет загрузка изображения...
33%
Лист: 1 2 3
Подождите, идет загрузка изображения...
Подождите, идет загрузка изображения...
33%
Лист: 1 2 3
Пресс-центр
Римский Форум —
центр общественной жизни Древнего Рима.
Грандиозный комплекс сооружений, воплотивший в себе красоту Рима, славу и величие императоров.

Однажды Юлий Цезарь потчевал народ, выставив среди мраморных просторов Форума 22 тысячи столов.

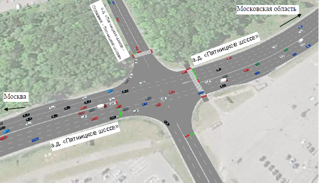
Схема транспортного обслуживания на основании моделирования транспортных потоков территории квартала в южной части д.Марьино, г.о. Красногорск, Московской области под размещение многоквартирной жилой застройки и курортного комплекса